Partner serwisu
Miasto

Tramwaje Warszawskie zapowiadają przebudowę trasy do Gocławka

Dalej Wstecz
Partner działu

Balzola Polska

Data publikacji:
02-02-2026
Ostatnia modyfikacja:
30-01-2026
Tagi geolokalizacji:
Źródło:
inf. pras. TW

Podziel się ze znajomymi:

Tramwaje Warszawskie przygotowują remont torowiska w ul. Grochowskiej. Zaplanowane na 2027 rok prace pozwolą także na wprowadzenie punktowych zmian w organizacji ruchu, poprawiających bezpieczeństwo pasażerów, pieszych i kierowców.

– Od blisko dwóch lat przygotowujemy się do kompleksowej przebudowy torowiska tramwajowego w ul. Grochowskiej, od ul. Garwolińskiej do pętli Gocławek. Ten odcinek był remontowany po raz ostatni w 2001 r., niestety, przeprowadzone wówczas prace nie objęły wykonania odwodnienia torów i nie poprawiły dostępności przystanków. A brak odwodnienia torowiska przyczynił się postępującego, zbyt szybkiego zużycia infrastruktury torowej. Po 25 latach intensywnej eksploatacji, szykujemy się do kompleksowej naprawy głównej, która ma usunąć główne problemy – wyjaśnia Konrad Niklewicz, członek zarządu TW odpowiedzialny za utrzymanie i modernizację infrastruktury torowo-trakcyjnej.

Tory na ulicy Grochowskiej, na odcinku od pętli Wiatraczna do pętli Gocławek, wymagają obecnie ciągłych interwencji ekip utrzymaniowych TW. Ze względu na brak odwodnienia, szybko powstają tzw. wychlapy (uszkodzenie konstrukcji torowiska spowodowane obecnością wody). To z kolei wymusza wprowadzenie wielu ograniczeń prędkości (aktualnie sześć ograniczeń, obejmujących dłuższe odcinki trasy – wg stanu na 23 stycznia), uciążliwych dla pasażerów. Wychlapy są na bieżąco usuwane w ramach prac utrzymaniowych w trakcie nocnych przerw w ruchu, ale to rozwiązanie doraźne.

Wielobranżowa przebudowa torowiska

Planowana naprawa główna torowiska, obejmująca swoim zakresem wiele różnych branż, będzie de facto przypominała budowę trasy tramwajowej od nowa. Nie będzie to proste odtworzenie infrastruktury w istniejącym śladzie – dlatego też wiele miesięcy zajmuje przygotowanie i uzgodnienie dokumentacji projektowej dla tego zadania. Prace projektowe w branży konstrukcyjnej oraz drogowo-torowej zbliżają się do końca, natomiast do końca roku będą gotowe projekty z branż: elektrycznej, teletechnicznej, sanitarnej i gazowej.

Koszt robót, z uwagi na duży zakres, wyniesie kilkadziesiąt milionów złotych. Do całkowitej przebudowy jest 4200 metrów toru pojedynczego. Pod torowiskiem powstanie odwodnienie, wykonana zostanie nowa podbudowa, wymienione zostaną wszystkie szyny i podkłady. Nowe tory będą z zieloną zabudową.

Prace na torowisku wymuszają przebudowę licznych sieci podziemnych – przede wszystkim gazowej, teletechnicznej, zasilania oświetlenia ulicznego i sygnalizacji świetlnych. W ramach przyszłorocznego remontu wykonany będzie też całkowicie nowy układ kablowy, doprowadzający prąd z podstacji Żółkiewskiego. W sumie: 30 tys. metrów kabli. Roboty obejmą także sieć trakcyjną – słupy trakcyjne będą przeniesione na zewnętrzną stronę torowiska.

Wygodniejsze przystanki, bezpieczniejsze skrzyżowanie

Zmiany obejmą także układ przystanków, które zostaną dostosowane do obecnie obowiązujących wymogów i standardów, w tym zwłaszcza standardu dostępności dla osób o ograniczonej mobilności. – Zmodernizujemy w sumie 12 platform. Wydłużymy i poszerzymy je. Przystanki Wspólna Droga i Żółkiewskiego przeniesiemy na wyloty skrzyżowań. Peron przystanku Kwatery Głównej w kierunku Wiatracznej zostanie przeniesiony przed skrzyżowanie, a Pl. Szembeka w kierunku Wiatracznej – za skrzyżowanie – zapowiada Niklewicz. Do nowego układu przystanków zostanie dostosowany układ przejść i dojść na tzw. małej Grochowskiej (czyli na jezdni serwisowej).

Inwestycja Tramwajów Warszawskich z przyczyn oczywistych koncentruje się na torach, sieci trakcyjnej i infrastrukturze przystankowej. Jednak w kilku kluczowych miejscach wymuszone przebudową zmiany w geometrii jezdni będą na tyle istotne, że pozwolą wprowadzić nowe, bezpieczniejsze rozwiązania ruchowe.

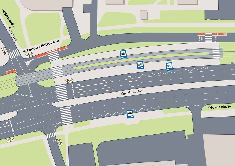
Prace przy infrastrukturze tramwajowej będą wiązać się z przesunięciem krawężników ul. Grochowskiej od strony torowiska. Szerokość pasów ruchu na jezdni do centrum zostanie zmniejszona, a na skrzyżowaniach, w obrębie których będzie prowadzona przebudowa platform przystankowych, Tramwaje wprowadzą bezpieczniejszą organizację ruchu. Taka zmiana będzie widoczna na skrzyżowaniu przy Placu Szembeka. Tramwaje Warszawskie uzgodniły ją jeszcze w 2025 roku z miejskim Biurem Zarządzania Ruchem Drogowym, po uzyskaniu pozytywnych opinii Zarządu Dróg Miejskich, Policji i Zarządu Transportu Miejskiego.

Na skrzyżowaniu z Zamieniecką i Pl. Szembeka kierowcy jadący Grochowską od strony Węzła Marsa będą mieli do dyspozycji wydzielony pas do skrętu w lewo w Zamieniecką (wraz z wydzieloną sygnalizacją świetlną) oraz w prawo, w kierunku Chłopickiego. Jazda na wprost będzie możliwa z dwóch pasów ruchu ogólnego. Z kolei kierowcy jadący Grochowską od strony Ronda Wiatraczna otrzymają wydzielony prawoskręt w Zamieniecką oraz dwa pasy do jazdy na wprost. Dodatkowo, przejścia dla pieszych przez Zamieniecką oraz przez wschodnią stronę Grochowskiej zostaną uzupełnione o przejazdy rowerowe.

Na skrzyżowaniu z ul. Wspólna Droga kierowcy jadący Grochowską od strony Węzła Marsa będą mieli do dyspozycji wydzielony pas do skrętu w prawo, w ul. Wspólna Droga oraz dwa pasy do jazdy na wprost. Kierowcy jadący Grochowską od strony Wiatracznej otrzymają wydzielony lewoskręt (wraz z wydzieloną fazą sygnalizacji świetlnej), w ul. Wspólna Droga oraz dwa pasy ruchu ogólnego, umożliwiające jazdę na wprost.

Na skrzyżowaniu z ul. Podolską kierowcy jadący Grochowską od strony Węzła Marsa będą korzystać z wydzielonego pasa do skrętu w prawo, w ul. Podolską oraz dwóch pasów służących do jazdy na wprost. Kierowcy jadący od strony Wiatracznej – kierowcy otrzymają wydzielony pas do skrętu w lewo, w ul. Podolską (obecnie obowiązuje zakaz skrętu) oraz dwa pasy ruchu ogólnego.

Projekty sygnalizacji świetlnej, z akomodacją i priorytetem dla tramwajów, są obecnie w trakcie opracowania. – Realizacja naszego zakresu prac nie wyklucza wprowadzenia innych zmian w organizacji ruchu przez zarządcę drogi. Prace wykonywane przez Tramwaje Warszawskie można skoordynować z pracami realizowanymi przez inne miejskie podmioty – od ponad roku przekazujemy swoje projekty – podkreśla Konrad Niklewicz.

Prace w 2027 r.

Prace zaplanowane są na rok 2027 i rozpoczną się już na wiosnę. Te najbardziej intensywne, wiążące się z wyłączeniem ruchu tramwajowego, rozpoczną się krótko przed wakacjami letnimi – w terminie uzgodnionym z Zarządem Transportu Miejskiego, w czasie, gdy ruch pasażerski jest najmniejszy. Prace wykończeniowe poza torowiskiem będą kontynuowane już po wznowieniu ruchu, niemal do końca roku. Roboty będą realizowane przede wszystkim własnymi siłami spółki.

Z projektu przebudowy torowiska wyjęty jest odcinek od pętli Wiatraczna do przystanków Czapelska. Ten fragment został włączony do projektu większych zmian na rondzie Wiatraczna, związanych z planowaną budową stacji linii metra M3.
Partner działu

Balzola Polska

Tagi geolokalizacji:

Podziel się z innymi:

Zobacz również:

Tramwaj z Dw. Zachodniego na Wolę. Jest umowa na projekt

Miasto

Tramwaj z Dw. Zachodniego na Wolę. Jest umowa na projekt

Tramwaje Warszawskie 16 stycznia 2026

KZK Białystok ma nową zajezdnię autobusową

Miasto

KZK Białystok ma nową zajezdnię autobusową

UM Białystok 03 stycznia 2026

Co z buspasem między Łomiankami a Warszawą?

Biznes i przemysł

Co z buspasem między Łomiankami a Warszawą?

Przemysław Farsewicz 01 stycznia 2026

Olsztyn. Pierwsze zapowiedzi rozbudowy tramwajów przez opozycję

Biznes i przemysł

Warszawa: Tramwaje wracają na Marszałkowską i Grójecką

Miasto

Warszawa: Tramwaje wracają na Marszałkowską i Grójecką

Tramwaje Warszawskie 12 października 2025

Zobacz również:

Tramwaj z Dw. Zachodniego na Wolę. Jest umowa na projekt

Miasto

Tramwaj z Dw. Zachodniego na Wolę. Jest umowa na projekt

Tramwaje Warszawskie 16 stycznia 2026

KZK Białystok ma nową zajezdnię autobusową

Miasto

KZK Białystok ma nową zajezdnię autobusową

UM Białystok 03 stycznia 2026

Co z buspasem między Łomiankami a Warszawą?

Biznes i przemysł

Co z buspasem między Łomiankami a Warszawą?

Przemysław Farsewicz 01 stycznia 2026

Olsztyn. Pierwsze zapowiedzi rozbudowy tramwajów przez opozycję

Biznes i przemysł

Warszawa: Tramwaje wracają na Marszałkowską i Grójecką

Miasto

Warszawa: Tramwaje wracają na Marszałkowską i Grójecką

Tramwaje Warszawskie 12 października 2025

Kongresy
SZKOLENIE ON-LINE
Śledź nasze wiadomości:
Zapisz się do newslettera:
Podanie adresu e-mail oraz wciśnięcie ‘OK’ jest równoznaczne z wyrażeniem zgody na:
  • przesyłanie przez Zespół Doradców Gospodarczych TOR sp. z o. o. z siedzibą w Warszawie, adres: Sielecka 35, 00-738 Warszawa na podany adres e-mail newsletterów zawierających informacje branżowe, marketingowe oraz handlowe.
  • przesyłanie przez Zespół Doradców Gospodarczych TOR sp. z o. o. z siedzibą w Warszawie, adres: Sielecka 35, 00-738 Warszawa (dalej: TOR), na podany adres e-mail informacji handlowych pochodzących od innych niż TOR podmiotów.
Podanie adresu email oraz wyrażenie zgody jest całkowicie dobrowolne. Podającemu przysługuje prawo do wglądu w swoje dane osobowe przetwarzane przez Zespół Doradców Gospodarczych TOR sp. z o. o. z siedzibą w Warszawie, adres: Sielecka 35, 00-738 Warszawa oraz ich poprawiania.
Współpraca:
Rynek Kolejowy
Transport Publiczny
Rynek Lotniczy
TOR Konferencje
ZDG TOR
ZDG TOR
© ZDG TOR Sp. z o.o. | Powered by BM5
Zamknij